Eat. Dive/Snorkel (x3). Eat. Sleep. Repeat. Liveaboards differ from typical cruises in really one way (as far as I know, I’ve never been on a typical cruise): the primary activity is really what happens on board. There isn’t casinos, multiple restaurants or multiple swimming pools but instead focuses on an intimate group of travelers who are passionate about their hobby…in this case underwater adventures and marine life. In our case, our group was even more intimate, just nine of us (out of a capacity of 16): two couples from France and Switzerland, singles from New York, Italy and Germany and ourselves. If you add in the crew members that outnumbered guests 2.5:1, we had a total of 33 folks onboard. The Pindito itself was built in the early nineties and was the first to provide tourism and a liveaboard experience to Raja Ampat. The original owner remains and partnered with the Indonesian government to expand access and establish Raja Ampat as a protected marine park ensuring its beauty would remain in tact for generations.

Misool
Those of you may remember that back in 2021, I (finally) got certified as an open water scuba diver during our covid trip to Seychelles and only dive a single dive in Mauritius since. So did I have reservations booking a diving liveaboard with seven other, very experienced and very passionate divers? Of course not! That is until the first day of diving (our second day onboard) when others who combined have no fewer than 3000 dives, with their bespoke diving equipment and underwater cameras that cost that of a new car began getting ready for our inaugural dive. Suddenly my tiny GoPro seemed a little inadequate and if I wasn’t more confident in my masculinity, I would’ve been a bit envious.
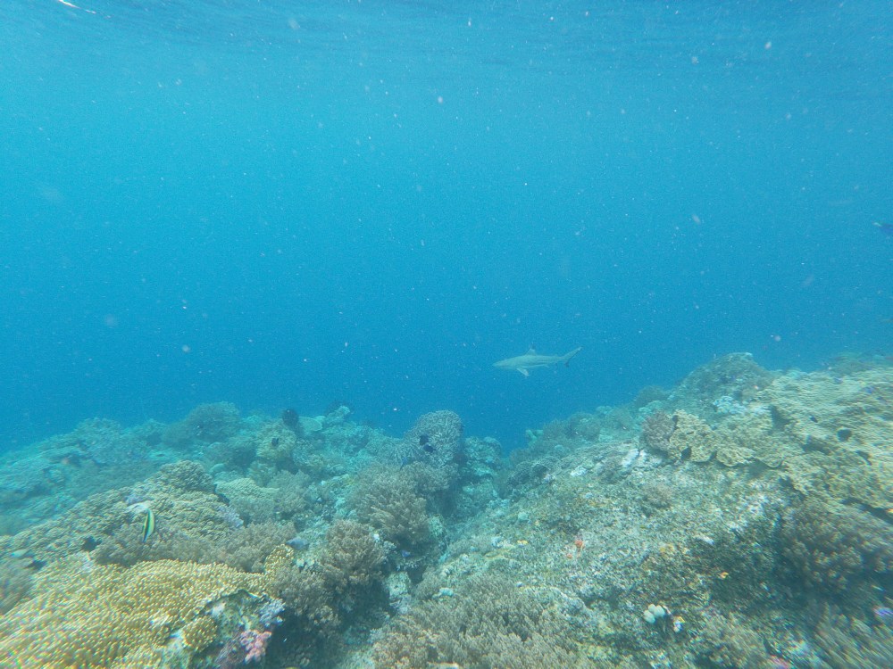
The Pindito doesn’t follow a set itinerary and instead gauges the sea conditions and weather patterns to determine where we’ll be the next day. Our first five days were focused around the island of Misool, situated at the southern part of Raja Ampat and home to a kaleidoscope of coral, each unique in their own way and bursting with color. Within the nooks and crannies of the coral live an even more diverse array of damselfish, parrotfish, moorish idols, silverfish, woebegones, batfish, nudibranches, octopus and even the odd trumpetfish. Circling (sometimes) ominously around the reefs were barracudas, green turtles and black tip reef sharks. In Misool is where I completed my Advanced Open Water and Nitrox diving certifications and where I completed my first night dive. In the dark. In the ocean. Where there’s no natural light.

Penemu, Mansaur and Bataan
The second half of the trip focused on the northern sections of Raja where we were able to focus on marine life in dramatic variation. The first being a muck dive. If you don’t know what that is, I don’t blame you, I didn’t either but it’s exactly what you think it should be. Sifting through the muck in order to find (sometimes) infiantiteesmal organisms like nudibranch and Pygmy seahorses. The latter of which are usually only the size of your fingernail, tie themselves to sea fans and do not capture well on a GoPro. I’ll be the first to admit that until I have a better idea of what I’m looking for, muck diving isn’t my thing.


On the other end of the spectrum, we ended our last day and a half at a site called Manta Way looking for…well Manta Rays. The site is about 18 meters deep and contains a large cleaning station that mantas use to get cleaned by the fish there. The first and third dives were a bit of a bust but the second, we found a huge black manta that hung around for nearly the duration of the dive.
For those of you wondering, Lauren does not dive but exclusely snorkels. We specifically chose the Pindito because they choose spots that are great for both activities, so while I would dive, she would snorkel above us and often times we would snorkel together, especially after I developed an inner ear infection about five days in. She may have missed out on some of the tiny stuff we were hunting for but she by far got better views of the bigger stuff including sting rays, barracudas and sea turtles. It was really the best of both worlds because I didn’t intend of doing all of the dives and there’s something special about being able to share the snorkeling experience and being within talking distance the entire time.



In total, the Pindito traveled 357 nautical miles and offered 37 dives, of which I did 19 and Lauren snorkeled about the same amount. When they say Raja Ampat is one of the most diverse places for marine life in the world, it’s very difficult to refute that based on the experiences we shared. Outside of the incredible things we saw underwater, we had a top of the line crew to make this trip truly exceptional. From the dive masters, to our director Ape, our zodiac driver Dani, to the kitchen staff, stewards and everybody in between, they made this trip truly unforgettable. Adding in the fantastic and hilarious group of guests we shared this with this trip truly one that we will remember forever.

Travel/Post Details:
Post includes travel from December 22, 2025 – January 2, 2026
Accommodations:
- MV Pindito
Other Notes:
- We left the states on Friday morning and arrived to Jakarta on Sunday night so with the time change, it takes about three days to get to Indonesia. Add in the midnight flight to Sorong and it’s like three and a half.
- We originally found the Pindito thanks to a travel expo that happened in Phoenix in February of 2025. Subculture is the agency we talked with there and they have exclusive booking rights in the US. They were the ones to make us comfortable that the trip would be good for diving and snorkeling.
- In addition to the normal crew and dive masters on the Pindito, one of the owners was there as well helping with orientation and diving with the broader group. Rudi Spaan is the second owner and he was my primary instructor for my AOW and Nitrox certa. In addition to being an exceptional teacher, he is a extraordinarily kind and caring individual who loves to share is experiences with others and I’m grateful for his expertise, both diving and non diving related and having met him.
Food Summary:
- The liveboard included all meals and the variety was fantastic given the kitchen staff of three were cooking for 30+ people. Local foods were prioritized and I ate my body weight of mei goreng for breakfast over the course of the trip and I’m true Indonesian form, had homemade sambal everyday. They even accommodated Lauren’s pickiness and she was able to enjoy more than I thought she would have.
Featured Image: the overlook of the Piaynemo lagoon



What an amazing trip! I so hope to see a manta some day.